A Cayo Caulker per vedere la grande barriera corallina

Il mio viaggio parte proprio dalla Riviera Maya che ho attraversato in bus in tutta la sua lunghezza fino ad arrivare nella piccola ma graziosa citta di confine di Chetumal, un posto per molti visto solo come un ponte proprio per superare il confine Messico Belize, per me uno dei posti più genuini del Messico che io abbia visitato. Arrivare a Chetumal è sicuramente da considerarsi un viaggio avventuroso e non tanto perché partendo da Cancun, Playa del Carmen o altre località messicane molto famose nel mondo, si deve affrontare un viaggio in bus che non risulta neppure particolarmente scomodo se si utilizza la compagnia di trasporti ADO ma perché, sarà stata l’impazienza di arrivare sulla piccola isola di Cayo Caulker ma la traversata in traghetto tra controlli alla dogana, verifiche antidroga si rivela ben più lunga del previso e dalle nove della mattina, orario in cui prendiamo il bus da Playa del Carmen, al momento in cui mettiamo finalmente piede a Cayo Caulker passano quasi 11 ore. Cayo Caulker è un piccolo lembo di terra dove non ci sono auto a benzina e ci si sposta tra una capo e l’altro dell’isola a piedi, in bici o con le auto elettriche. In ogni angolo è possibile noleggiare un mezzo di trasporto ecologico e quasi tutti gli hotel, dispongono di bici da affittare. A differenza di San Pedro, la sorella maggiore di Cayo Caulker, gli alloggi sono informali, costituiti da piccole cabanas immerse nel verde e molto vicine alla spiaggia, quest’ultima non è il classico arenile che ci si aspetta dai Caraibi, non ci sono ampie e assolate distese di sabbia bianca ma pontili dai quali ci si può tuffare e dai quali si parte per un unico e indescrivibile obbiettivo: raggiungere la barriera corallina.
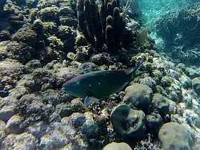
La barriera corallina nei pressi di Cayo Caulker non è raggiungibile a nuoto è quindi necessario affittare una barca oppure visitarla affidandosi ad uno dei tanti tour offerti dagli hotel o dalle agenzie del posto, il giro generalmente è uguale per quasi tutte le compagnie turistiche e prevede la sosta in un punto dove è possibile fare il bagno con le razze e con gli squali nutrice, innocui per l’uomo entrambi se rispettati come andrebbe fatto, a seguire si raggiungono i punti più scenografici della barriera corallina, definiti coral garden dove oltre a vedere, con il solo ausilio di maschera e pinne, tartarughe, pesci di ogni genere e forma, murene verdi e molto altro ancora, si ha la possibilità di osservare da vicino coralli delle forme più bizzarre, composizioni simili a variopinti mazzi di fiori. Infine le escursioni prevedono una sosta per consumare frutta in barca o in qualche piccolo atollo deserto dove è anche possibile fermarsi per un pranzo a base di pesce. Generalmente l’escursione finisce allo Split, l’angolo più frequentato di Cayo Caulker, una piccola spiaggia creata che si è venuta a creare a seguito di una spaccatura generata dal passaggio di un potente uragano di diversi anni orsono. Qui ci si raduna soprattutto per l’ora del tramonto per vivere l’emozione di quello che è ogni giorno un altro miracolo, il sole che cade in mare. Musica e una birra ghiacciata sono gli ingredienti immancabili di una sosta allo Split di Cayo Caulker. Come tutte le attività turistiche più gettonate, la differenza la fa sempre la guida che si decide di scegliere per effettuare l’escursione, l’isola è piena di operatori ma solo pochi al momento della prenotazione ti parlano dei loro sistemi di approccio con gli animali marini, spesso basati sulla pasturazione, ovvero l’utilizzo di cibo per attrarre gli animali in modo da compiacere il turista, l’agenzia che abbiamo utilizzato per le svariate alla barriera corallina è stata Anda de Wanta , gestita da una giovane coppia innamorata del Belize molto dedita al rispetto della sua biodiversità, il costo per la singola escursione di mezza giornata si aggirava intorno ai 20/30 dollari e sono disponibili diverse attività da effettuare con l’ausilio della loro guida tra cui anche le immersioni con la bombola al famoso Blue Hole, un buco blu che si è creato intorno alla barriera molto tempo fa e che è diventato uno degli spot d’immersione più ambito al mondo ma che richiede un pò più di esperienza rispetto a chi come me, aveva da poco preso il brevetto di primo livello. Ci sono poi un sacco di persone che non se la sentono di mettere la testa sotto l’acqua e scelgono di fare le escursioni in barca verso la barriera corallina solo per il gusto di fermarsi ad ammirare piccole piscine naturali che nel corso degli anni si sono create intorno alla barriera, l’acqua qui è quasi sempre calda e non serve nulla per guardare i pesci che nuotano sotto la barca ignari di essere loro il motivo di un viaggio lungo verso una delle tante meraviglie della terra.































